O
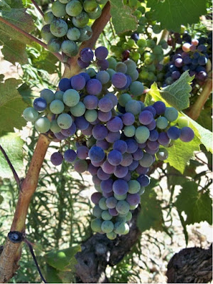
curiosidade do dia de hoje é a fase de maturação
da uva designada de Pintor, que
ocorre entre 40 e 50 dias após a
fertilização do fruto, onde os bagos começam a mudar de cor. Os bagos de uva durante este período começam a
alterar a sua composição de verdes e duros, para elásticos e cor tinta, no caso das castas tintas,
e translúcido ou amarelado, no caso das brancas. Esse fenômeno é acompanhado
pelo início da acumulação de açúcares e
da perda de acidez no bago de uva.
Com o fim
do pintor, o engaço está perfeitamente constituído e podemos afirmar que a
planta atingiu sua maturidade fisiológica. O tempo morno, seco e com sol favorece
o sucesso do pintor
Flash interview com Carlos Cabral, o maior comprador de
vinhos do Brasil Por Rogerio Ruschel
O conhecido jornalista brasileiro Rogerio Ruschel fez uma entrevista exclusiva para seu blogue “In Vinho Viajas” com Carlos Cabral, diretor de vinhos do Grupo Pão de Açúcar, a maior rede varejista do Brasil, com mais de 1000 lojas. Cabral – também autor de seis livros, entre os quais o mais completo Dicionário do Vinho do Porto - comenta sobreos vinhos mais vendidos pela rede, entre os quais os portugueses. Papa Vinhos publica parte desta entrevista com exclusividade em Portugal. Com a palavra, Rogerio Ruschel.
O Grupo Pão de Açucar (GPA) é a maior rede varejista do Brasil, com mais de 2.000 pontos de venda, dos quais 1.000 lojas são da divisão GPA Alimentar e vendem vinhos nas redes Pão de Açucar (186 lojas), Extra (300), Minuto Pão de Açúcar (82), Mini Extra (183), Assai Atacadista (130 lojas) e Compre Bem. O grupo também opera um clube de vinhos, o Viva Vinhos Pão de Açúcar. O GPA ainda tem 9…
O conhecido jornalista brasileiro Rogerio Ruschel fez uma entrevista exclusiva para seu blogue “In Vinho Viajas” com Carlos Cabral, diretor de vinhos do Grupo Pão de Açúcar, a maior rede varejista do Brasil, com mais de 1000 lojas. Cabral – também autor de seis livros, entre os quais o mais completo Dicionário do Vinho do Porto - comenta sobreos vinhos mais vendidos pela rede, entre os quais os portugueses. Papa Vinhos publica parte desta entrevista com exclusividade em Portugal. Com a palavra, Rogerio Ruschel.
O Grupo Pão de Açucar (GPA) é a maior rede varejista do Brasil, com mais de 2.000 pontos de venda, dos quais 1.000 lojas são da divisão GPA Alimentar e vendem vinhos nas redes Pão de Açucar (186 lojas), Extra (300), Minuto Pão de Açúcar (82), Mini Extra (183), Assai Atacadista (130 lojas) e Compre Bem. O grupo também opera um clube de vinhos, o Viva Vinhos Pão de Açúcar. O GPA ainda tem 9…

Comentários
Enviar um comentário